物件の特徴
主な設備
電気
上水道
下水道
側溝
プロパンガス
主な特徴
建築条件無
お探しのエリア、ご予算に合わせた土地探し、お手伝い致します。
また住宅ローンのご相談、土地・建物の購入に掛かる費用のご説明など、
分かりやすいご説明を心掛けておりますので、お探し初めの方も
安心してご相談ください!
物件概要
| 価格 | 1,288万円 | 坪単価 | 坪13.8万円 |
|---|---|---|---|
| 物件種別 | 土地 | ||
| 所在地 | 福岡県八女市納楚 | ||
| アクセス | 『どんどら』 徒歩9分 (約720m) |
||
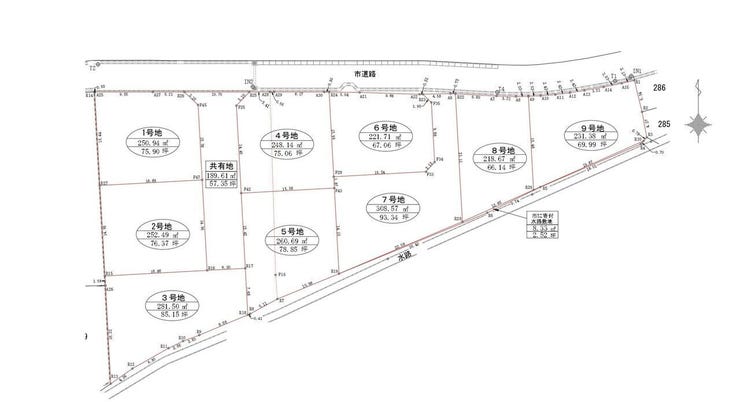
| 土地面積 | 308.57㎡(93.34坪) | 接道 | 北側幅 約5.1m |
| 私道 | セットバック | ||
| 最適用途 | 造成完了時期 | ||
| 地目 | 宅地 | 地勢 | |
| 権利 | 所有権 |
||
| 分譲情報 | 【販売区画】:9区画 |
||
| 都市計画 | 非線引区域 |
用途地域 | 1種住居 |
| 建ぺい/容積率 | 60% / 200% | 土地国土法 | |
| 許可番号 | 建築基準法 | ||
| 法令制限 | |||
| 小学区 | 中学区 | ||
| 現況 | 更地 | 引渡 | 期日指定:2026年05月以降 |
| 建築条件 | 建築条件なし | ||
| その他費用 | |||
| 周辺環境 | マルキョウ 八女店 徒歩11分 (約840m) 川崎病院 徒歩9分 (約700m) 業務スーパー 八女本村店 徒歩13分 (約990m) 八女市立上妻小学校 徒歩16分 (約1250m) マックスバリュ八女本村店 徒歩16分 (約1210m) 柳病院 徒歩18分 (約1410m) |
||
| 備考 | |||
| 物件番号 | 4587777 | 取引態様 | 媒介 |




















担当エージェント:今里
土地・新築、中古戸建、全国700店舗以上の
ネットワークでお手伝い致します!
0942-50-5735鳥栖郵便局そば、お気軽にご相談ください♪